Le mûrier
 photos 26/07/06
 Ce très beau mûrier proche de la Grange aux Moines
 
 
 a été traité en trogne à plusieurs reprises.
 
 
Le diamètre de son tronc est d'environ 4 mètres
 
 
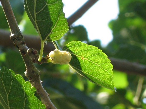
Ci-dessus le fruit comestible qui va mûrir d'ici le mois de septembre.